世語圖說
2026年03月04日
聯繫我們
新聞
情感
生肖
奇趣
運動
娛樂
命理
百科
美食
健康
語錄
動漫
家庭
旅遊
雞湯
軍事
漫畫
搞笑
政治
健身
偷工減料!7層違建大樓「突然瞬間崩解」工人全被埋 救援發現「至少5人離世」還有多人被埋
奚芝厚 • 110次觀看
準備放颱風假?康芮直衝北台灣「15縣市侵襲率破90%」 穿越再北上「這2天風雨最強」
呂純弘 • 410次觀看
快訊 / 14:19 嘉義發生規模4.8地震 10縣市有感
呂純弘 • 260次觀看
仁保奪命意外,華裔中學生死 生前勤奮有上進心 前天才剛參加畢業典禮
喬峰傳 • 620次觀看
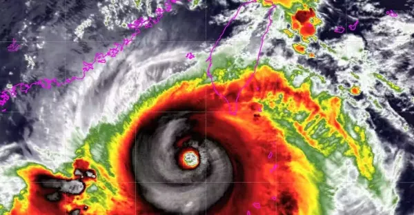
康芮恐升級大型強台!專家預警「恐從宜蘭登陸」時間點曝光 路徑西修「暴風圈狂掃北台灣」
呂純弘 • 250次觀看
快訊/台中聯結車碰撞機車,騎士「當場身亡」:無法辨別性別及年齡
呂純弘 • 430次觀看
誰願意救這對姐妹 網民 : 救了她倆反過來被她咬傷自己
熊康翰 • 820次觀看
「高糖飲品警報!消委會揭示市場上隱藏的糖分危機」
歐士芳 • 940次觀看
一次800,一天接13次!19歲女孩一番話逆天了
奚芝厚 • 730次觀看
店屋內遭不明人士刺殺 中年男身中多刀斃命
喬峰傳 • 220次觀看
麥當勞惹麻煩了:49人食物中毒,1死10人送院,食安問題引發關注
奚芝厚 • 260次觀看
壽司郎迴轉台出現髒盤亂象,日人怒斥外國顧客不守規則,食安堪憂!
歐士芳 • 400次觀看
無人機空投服務來襲!美團福田口岸航線啟動,港人消費新體驗及就業挑戰
歐士芳 • 940次觀看
法官勸戒Adeline 做網紅要有德行
熊康翰 • 1K次觀看
Adeline認自食其果 後悔為討錢牽扯無辜孩童
熊康翰 • 1K次觀看
Alice有情有義 刷卡代姐付罰款
熊康翰 • 910次觀看
Alice揭姐姐急需3萬5動手術 吁大眾發揮善心捐款
熊康翰 • 600次觀看
月入最低1000 還在接受心理治療 Adeline律師求法官輕判
熊康翰 • 740次觀看
Adeline判罰款7000 若無法繳付 坐牢6個月
熊康翰 • 450次觀看
先認罪後改口 要求華文通譯員 Adeline「失蹤」逼使2度休庭
熊康翰 • 750次觀看
快訊/潭美颱風發威!雙北等4縣市「明天達停班停課標準」 專家示警:「恐雙台效應」
呂純弘 • 430次觀看
最新消息! 女奧客Adeline認罪了
熊康翰 • 3K次觀看
Adeline & alice 兩人神情輕鬆,不抗拒任由媒體拍攝。
熊康翰 • 570次觀看
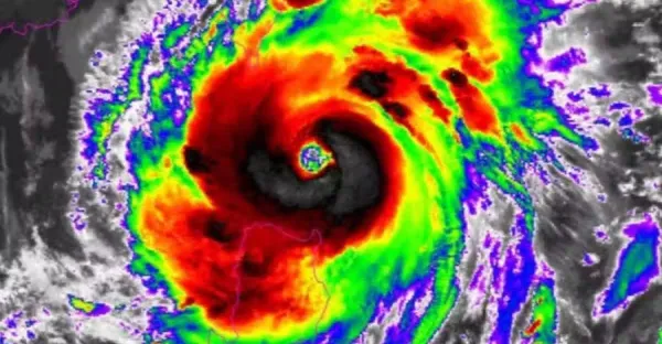
今天開始雨連炸7天!專家曝「雙台效應」潭美路徑成複雜麻花狀
呂純弘 • 170次觀看
«
Previous
53
54
55
56
57
58
59
60
61
62
»
Next