世語圖說
2026年03月04日
聯繫我們
首頁
新聞
快訊/山陀兒大迴轉「明掃全台」4縣市風雨最劇
2024-10-02
呂純弘
反饋
1
/
5
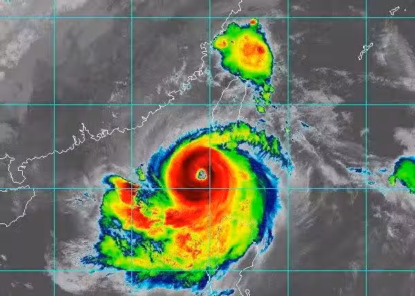
▲山陀兒今晨轉強烈颱風。
氣象專家吳德榮提醒,強烈颱風山陀兒關鍵迴轉,對各地威脅都很大,尤其是屏東、台東、花蓮及宜蘭的「致災性風雨」,山區預測最大總雨量甚至達到1300毫米。
▼最新颱風動態。
上一頁
1
/
5
下一頁
52歲富婆嫁22歲小鮮肉! 女兒比老公「還大5歲」…3年後高齡產女下場曝...網嘆:早就看穿
劉奇奇 • 33K次觀看
快訊 / 殘骸四散!飛機驚傳墜毀「乘客全數罹難」國防部長證實了!
管輝若 • 3K次觀看
科技業夫因失業、育兒觀念不同刺死妻…再抱兒踱步1小時終走絕路雙亡
李雅惠 • 1K次觀看
凌晨癌逝!資深女歌手「突惡化病危」享年50歲 昔勇敢「公開坎坷經歷」丈夫悲慟:趕去還是來不及~
管輝若 • 18K次觀看
快訊/民進黨戰將「驚傳昨日身亡」
管輝若 • 10K次觀看
錢再多也沒用!!電商工會前副總裁「已確診晚期」,3名阿姨侍候……用針管喝水都勉強
喬峰傳 • 3K次觀看
快訊/知名台灣大廠「驚爆倒閉」! 股票一夕歸零 12.7億廠房全賣了
呂純弘 • 8K次觀看
快訊/台中普發5萬有譜了 盧秀燕鬆口了 「2條件願意發」
老臘肉 • 24K次觀看
基隆房客欠租沒繳「飄腐臭」 警破門見「夫妻擁抱赴黃泉...」 網嘆:走上這條路該有多絕望啊!..
老臘肉 • 3K次觀看
突發/日本列車出軌釀107死562傷!2節車廂「撞入公寓大樓」出事原因曝光「駕駛害怕被罵」
老臘肉 • 11K次觀看
銀行存款新規定!11月將開始執行了,存款超過30萬一定要注意了!
管輝若 • 18K次觀看
知名航運龍頭之一驚爆破產「負債6億」宣告倒閉
管輝若 • 860次觀看
養豬場老闆身亡 「身邊人救援全陪葬」釀7死!!! 目擊員工嘆:老婆、岳母也遇難
老臘肉 • 5K次觀看
身家破兆也沒用!97歲前首富「虛弱坐輪椅」仍無法退休「全因2個60歲兒子」商業帝國搖搖欲墜
舒黛葉 • 3K次觀看
快訊/警察局驚傳「9死29傷」一片狼藉
管輝若 • 1K次觀看
政壇驚爆噩耗!國民黨戰將「凌晨過世」死因曝光 生前遺願「支持兒子選立委」
老臘肉 • 13K次觀看
雨落香港!許紹雄追悼會藏3個淚點,成龍花圈太特別,眾星哀悼
劉奇奇 • 760次觀看
凌晨癌逝 !資深女歌手「突惡化病危」享年50歲 昔勇敢「公開坎坷經歷」丈夫悲慟:趕去還是來不及~
劉奇奇 • 4K次觀看
日本列車出軌釀107死562傷!2節車廂「撞入公寓大樓」, 出事原因曝光「駕駛害怕被罵」
管輝若 • 3K次觀看
快訊/15歲國三女「校園墜樓送醫不治」「一看手機傻眼了」 家屬崩潰
老臘肉 • 2K次觀看
華裔妻子郵輪上離奇失蹤,德國丈夫表示不知情,警方苦尋8年杳無音訊,她去了哪裡?
劉奇奇 • 1K次觀看
撼彈!卓榮泰:明年有重大事情宣布!每個台灣人都躲不了
呂純弘 • 13K次觀看
叫員工去跟老婆「錄音檔流出」!館長認了「夫妻生活出問題」:老婆不願意
奚芝厚 • 1K次觀看
快訊/ 嘉義出大事了! 8輛救護車 「急奔現場搶救」
管輝若 • 11K次觀看